Тайфун "Нангка" парализовал движение на крупнейшей автомагистрали Токио

Zakon.kz, фото - Новости Zakon.kz от 16.07.2015 15:51 Zakon.kz
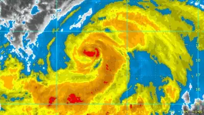
На всех японских островах идут сильные дожди, скорость ветра при порывах достигает 50 метров в секунду.
Из-за тайфуна "Нангка", который надвигается на Японию, оказались парализованы три участка одной из основных скоростных магистралей Токио "Тюо".

На всех японских островах идут сильные дожди, скорость ветра при порывах достигает 50 метров в секунду.
"Нагка" движется к Японии со скоростью 20 километров в час. Он достигнет побережья к вечеру 16 июля, прогнозирует ТАСС.

Поделитесь новостью
Поделитесь новостью:
Следите за новостями zakon.kz в:
Если вы видите данное сообщение, значит возникли проблемы с работой системы комментариев. Возможно у вас отключен JavaScript
Сообщите об ошибке на странице
Ошибка в тексте: